Mundo

Florida siente ya el azote del huracán Ian, de categoría cuatro

De acuerdo con la web especializada poweroutage.us, hasta mediodía de hoy un total de 193.677 clientes de Florida se hallan sin suministro eléctrico, de más de 11 millones rastreados en este estado.

La costa oeste de Florida aguarda temerosa la llegada del huracán Ian que, con vientos de categoría 4, va a impactar este miércoles en algún punto de la bahía de Tampa y alrededores.
 
LEE TAMBIÉN: Levantan arresto domiciliario a dueños de Meco por caso Cochinilla
 
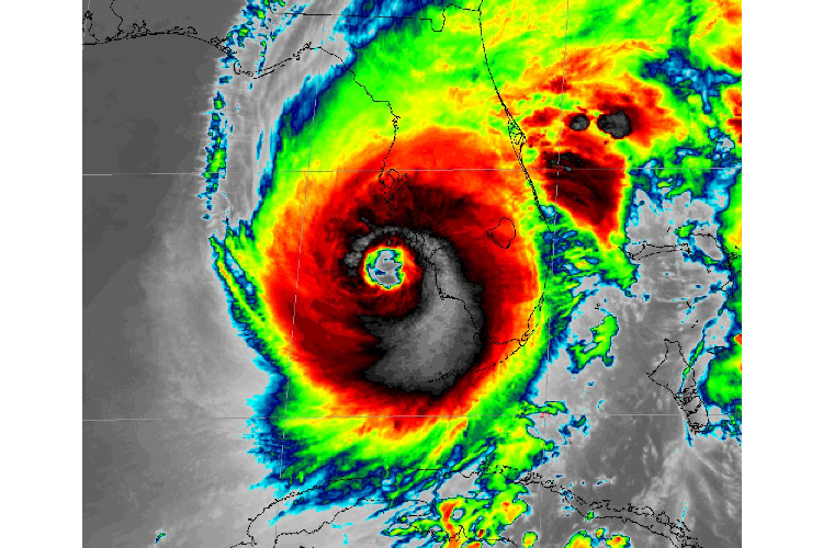
Ian enfila hacia la costa oeste de Florida con vientos de 155 millas por hora (250 km/h), donde se prevé que toque tierra este miércoles y produzca efectos catastróficos, mientras las autoridades piden a la población de esa área a protegerse y "rezar".

"Es hora de arremangarse, prepararse para esta tormenta. Esta es una tormenta poderosa que debe tratarse como lo haría si un tornado se acercara a su casa", dijo el gobernador estatal, Ron DeSantis, quien alertó que a esas horas ya no es posible "evacuar con seguridad" y pidió orar por quienes hayan optado por no dejar sus casas.

"Ian causará marejadas ciclónicas catastróficas, vientos e inundaciones en la península de florida pronto", alertó el Centro Nacional de Huracanes (NHC) de EE.UU. en su boletín de las 11 de la mañana (15.00 GMT)

A esa hora, Ian se hallaba a unas 50 millas (80 km) al sursuroeste de Punta Gorda, en el suroeste de Florida y en el gráfico de trayectoria, la zona de impacto se sitúa más al norte, en la bahía de Tampa, área en donde ya se registran vientos con fuerza de tormenta tropical y se han producido cortes de energía.

De acuerdo con la web especializada poweroutage.us, hasta mediodía de hoy un total de 193.677 clientes de Florida se hallan sin suministro eléctrico, de más de 11 millones rastreados en este estado.

Los directivos de la compañía eléctrica FPL señalaron este miércoles que se han dispuesto más de 40.000 trabajadores para proceder con el restablecimiento de energía una vez las condiciones lo permitan, y muchos provienen de otros estados.

DeSantis dio a conocer que hay unos 5.000 miembros de la Guardia Nacional de Florida para los mismos fines.  

"Este va a ser uno de esos históricos huracanes", el "impacto va a ser enorme", alertó el gobernador en rueda de prensa previa a la llegada del centro del huracán a Florida, y en la que recordó otros ciclones que en los últimos años han alcanzado este sureño estado y dejado muertes a su paso.

DeSantis pidió a la población ser cauta una vez el huracán haya pasado, dado que después aparecen nuevos riesgos, entre ellos los asociados a cables de alta tensión sueltos, que son causantes de muertes. 

Ian, que se desplaza a 9 millas por hora (15 km/h) con dirección nornoreste, presenta vientos máximos sostenidos que casi lo equiparan con un huracán de categoría cinco, que empieza a partir de 157 millas por hora (252 km/h) y es la máxima en la escala Saffir-Simpson.
Ian ya ha dejado sentir sus fuertes vientos y copiosas lluvias, que han producido inundaciones repentinas, en algunas partes de Florida,
En los Cayos de Florida, que sintieron los efectos de Ian antes que el resto del estado por su cercanía a Cuba, se registraron inundaciones por subida del nivel de mar y lluvias en lugares como Cayo Hueso, una turística ciudad isla, en cuyo centro histórico el agua corría esta mañana por las calles, según imágenes de televisión.
En el sureste de Florida, que ha evitado lo peor de Ian al quedar fuera del cono de trayectoria, no obstante se han registrado tornados y sus autoridades han pedido a las personas mantenerse vigilantes.
La alcaldesa del condado Miami-Dade, que como el vecino Broward hoy y mañana tienen sus escuelas cerradas, dijo que aunque hasta el momento se han reportado "daños limitados" pidió a la población ser cauta en vista de que durante el día pueden registrarse vientos con fuerza de tormenta tropical y hasta ocho pulgadas (más de 200 mililitros) de lluvias. 
LA BAHÍA DE TAMPA EN ALERTA
La peligrosa marejada ciclónica que producirá Ian a su paso puede elevar el nivel del mar hasta un máximo de 16 pies (4,8 metros) en alguna porción de la costa oeste de Florida.

El boletín del NHC incluye una larga lista de advertencias y avisos de paso de huracán, marejada ciclónica y tormenta tropical que abarca gran parte de Florida, incluida la costa este, y también algunos sectores de las islas Bahamas.

La zona con avisos de mayor gravedad comprende el cayo Dry Tortugas, en el occidente de los Cayos de Florida y sin población permanente, un área en la costa este, entre los condados Flager y Volusia, y una zona de la costa oeste, que va de Chokoloskee al río Anclote e incluye la bahía de Tampa.
 
Es ahí donde se espera que toque tierra Ian en el transcurso de hoy con vientos "catastróficos" de categoría cuatro, según el NHC.

La mañana de este miércoles, la Patrulla de Carreteras de Florida cerró el puente Sunshine Skyway en la bahía de Tampa en ambas direcciones después de que los vientos asociadas con el huracán Ian llegaran hasta las 60 millas por hora en esa zona.

El puente permanecerá cerrado hasta que pase la tormenta y disminuyan las inclemencias del tiempo, según el comunicado de prensa.

"Diría que estoy un poco desprevenido", confesó al diario local Tampa Bay Times Kenny Palin, propietario de Solorzano's Pizzeria, en Sarasota y Longboat Key, mientras la tarde del martes transportaba los últimos pepperoni y salchichas de su local ubicado en esta isla de cara al Golfo de México.

Una fila de tres horas para recoger de sacos de arena obligó a este comerciante a recoger su propia arena de la playa.

"Este huracán es algo serio", advirtió en declaraciones a CNN en Español Erik Arroyo, alcalde de Sarasota, ciudad al sur de Tampa y que se prepara para lo peor de Ian, que supondrá el primer huracán que impacte de forma directa la Bahía de Tampa en 100 años, donde viven más de 3,1 millones de personas. 

Etiquetas
Más Noticias

Sucesos Entre pandillas, masacres y droga: el ascenso y caída de "Cholo Chorrillo"

Nacional Defensa: peritos y testigos no prueban hecho punible en caso Odebrecht

Sucesos Cuatro muertos en accidentes de tránsito en Panamá Oeste, Chiriquí y Colón

escucha Se escucha por ahí

Deportes Seattle cobra revancha y conquista el segundo Súper Bowl en su historia

Deportes Trump dice que espectáculo de Bad Bunny fue "uno de los peores de la historia"

Show Bad Bunny la rompe en el Super Bowl y defiende la cultura latina en EEUU

Nacional Unicef pide acciones tras denuncias: "Albergues no son entornos idóneo"

Mundo China activa la turbina eólica marina más potente del mundo

Sucesos Bomberos salvan la vida de veterano de 'Liga 70' de fútbol en Plaza Amador

Mundo México envía 'ayuda humanitaria' a Cuba con más de 814 toneladas de víveres

Mundo Liberan a Juan Pablo Guanipa, dirigente cercano a María Corina Machado

Sucesos Persecución acuática en Darién termina con captura de narco y decomiso

Show El Puma no se reconciliará con sus hijas; ya perdonó, pero ellas se pasaron

Sucesos Ocupante sale proyectado y muere al chocar camioneta contra puente

Show Shakira se sacó la ñecks durante un show en El Salvador

Show ¿Le tirará a Trump o a ICE? El activismo de Bad Bunny causa ronchas

Show ¡Polémica! Tiffany estará en la Mansión del Chiri; la aman y la cuestionan

Nacional ¡Se formó! ’La Tinto’ reaparece en las tonadas de la Calle Abajo

Nacional San Miguelito se prepara para carnaval con más de 300 carnés entregados

Sucesos Mujer muere atropellada: Intentó mediar entre conductores de autos colisionados

Mundo Dalái lama niega cualquier vínculo con los escándalos de Jeffrey Epstein

Sucesos Beisbolista colonense muere en triple colisión en la autopista Panamá-Colón

Sucesos Sicarios ejecutan a hombre en su sala en Cerro Tigre, Arraiján

Mundo Tribunal iraní condena a la Nobel de la Paz Mohammadi a siete años de cárcel

Mundo Fuego daña parcialmente memorial por las víctimas de Crans-Montana, Suiza

Sucesos Conductor fallece al saltar de cabezal de camión articulado

Nacional Los pelao's en Coclesito cuentan con nuevo parque para divertirse

Nacional Panamá se mueve: confianza sube mientras el país enfrenta sus desafíos

Nacional Varias especialidades de la Hugo Spadafora se mudan al nuevo hospital de Colón